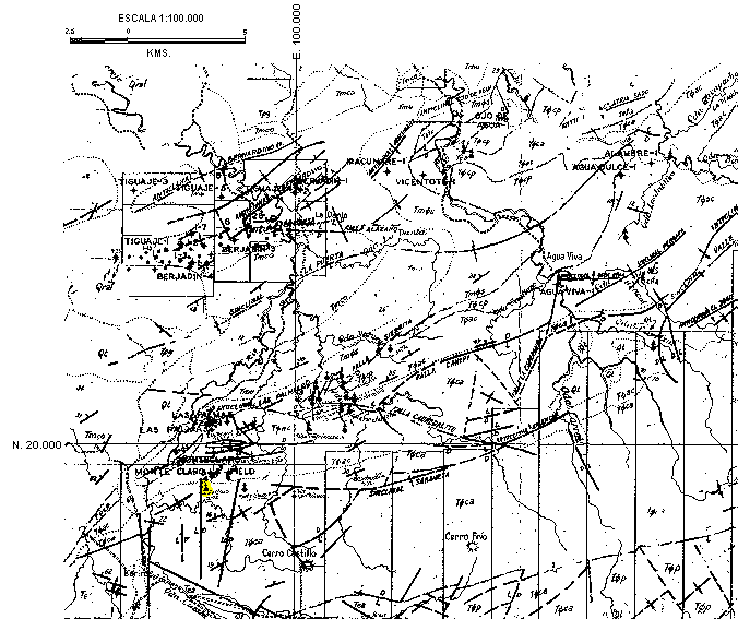
Identificación del Mene: Monte Claro Oeste

Estado: Falcón

Distrito: Buchivacoa

Región geográfica: Costa Noroccidental

Mapa: Geología de Superficie de la Creole Petroleum Corporation

Hoja: C-4

Fecha: 21/12/67

Escala: 1:100.000

Coordenadas: N: 18.368; E: 96.920

Referencias:

Observaciones: Aflora en la Formación Castillo, al sur del campo Monte Claro


Ubicación
Tomado de: Geología de Superficie de la Creole Petroleum Corporation, Hoja C-4, 1967.