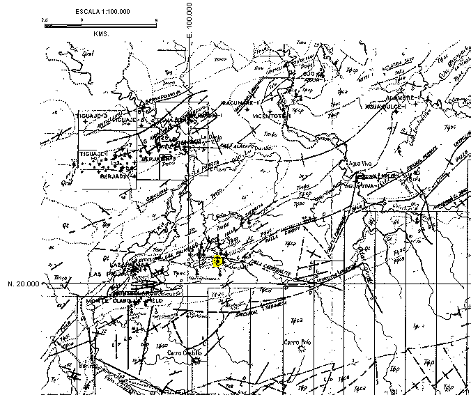
Identificación del Mene: M-40 (Falcón)

Estado: Falcón

Distrito: Buchivacoa

Región geográfica: Costa Noroccidental

Mapa: Geología de Superficie de la Creole Petroleum Corporation

Hoja: C-4

Fecha: 21/12/67

Escala: 1:100.000

Coordenadas: N: 22.000 ; E: 102.400

Referencias:

Observaciones: Aflora en la Formación Agua Clara. Se encuentra cerca de la quebrada Cauderalito, en la falla Cauderalito, a 2 kilómetros de la falla Sierrita y a 1,5 kilómetros de la falla Canipa


Ubicación
Tomado de: Geología de Superficie de la Creole Petroleum Corporation, Hoja C-4, 1967.