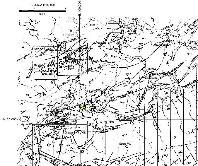
Identificación del Mene: M-33 (Falcón)

Estado: Falcón

Distrito: Buchivacoa

Región geográfica: Costa Noroccidental

Mapa: Geología de Superficie de la Creole Petroleum Corporation

Hoja: C-4

Fecha: 21/12/67

Escala: 1:100.000

Coordenadas: N: 21.600 ; E: 100.700

Referencias:

Observaciones: Aflora en la Formación Agua Clara. Se encuentra a unos 500 metros y al este de la falla Cauderalito y muy cerca del anticlinal Las Palmitas


Ubicación
Tomado de: Geología de Superficie de la Creole Petroleum Corporation, Hoja C-4, 1967.